Aktuálně můžete v lokalitě Plzeň vybírat z nabídky 65 pozemků.
Přehled nemovitostí: prodej pozemky > stavební pozemky Zpět na přehled nabídek

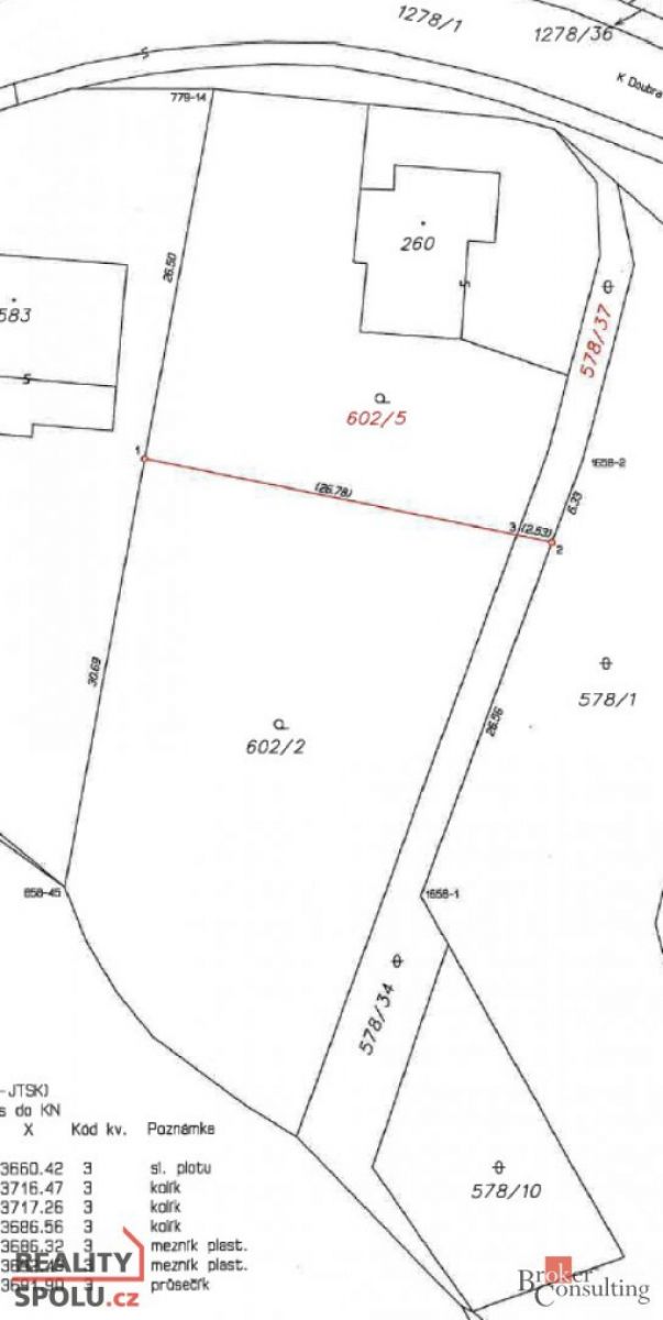
Prodej, pozemky/bydlení, 1340 m2, K Doubravě 255, 33151 Kaznějov, Plzeň-sever [ID 67358]

1 340 m2

osobní

67358

Cena: 3750000 CZK / objekt

Poslat dotaz k nabídce
Zásady používání osobních údajů

Prodejce

Makléř: Consulting, a.s. Broker

Telefon: 800 100 ...

E-mail: okreali ...

Zobrazit celý kontakt

Nemovitost nabízí

Realityspolu

Avenir Business Park Radlická 751/113E, 158 00 Praha 5

realityspolu.cz/

Zobrazit kontakt na RK

Zobrazit všechny nabídky RK

Nabízím k prodeji pozemek v žádané lokalitě Kaznějov - Habeš. Pozemek je na zcela klidném místě a jeho rozloha je 1.340 m2. Vzhledem k velikosti pozemku je na něm možno realizovat stavbu jak rodinného domku, tak i případně dvojdomku. Na pozemku se již nyní nachází funkční čistička odpadních vod pro 4 osoby. V současné době probíhá příprava na zavedení městského vodovodu, elektřiny a plynu na hranici pozemku. Realizace IS je již započtená v ceně pozemku. Příjezd k pozemku je po nezpevněné cestě. Cesta bude ještě částečně upravena po natažení IS a jejich zásypu. Pozemek je situován nad Kaznějovským potokem. V žádném případě se ale nejedná o zátopovou oblast. K pozemku je prohlášení ohledně radonového průzkumu s vyhovujícím výsledkem měření. Vzhledem k atraktivitě dané lokality a k omezeným možnostem nové výstavby je nákup pozemku možno brát i jako výbornou investici do blízké budoucnosti. Na katastru zatím není zaevidovaná situační změna po rozdělení původního pozemku, nový geometrický plán je součástí fotografií v inzerátu. Cena za m2 je 2.799,- Kč <a href="https://www.eurobydleni.cz/byty/4_1/liberec/obec-liberec/pronajem/"><strong>Pronájem bytu 4+1 Liberec</strong></a>




Prodej stavebního pozemku Kaznějov na Eurobydleni.cz


Nahoru